4704 DOLENTE DrivePlano, TX 75074
Due to the health concerns created by Coronavirus we are offering personal 1-1 online video walkthough tours where possible.

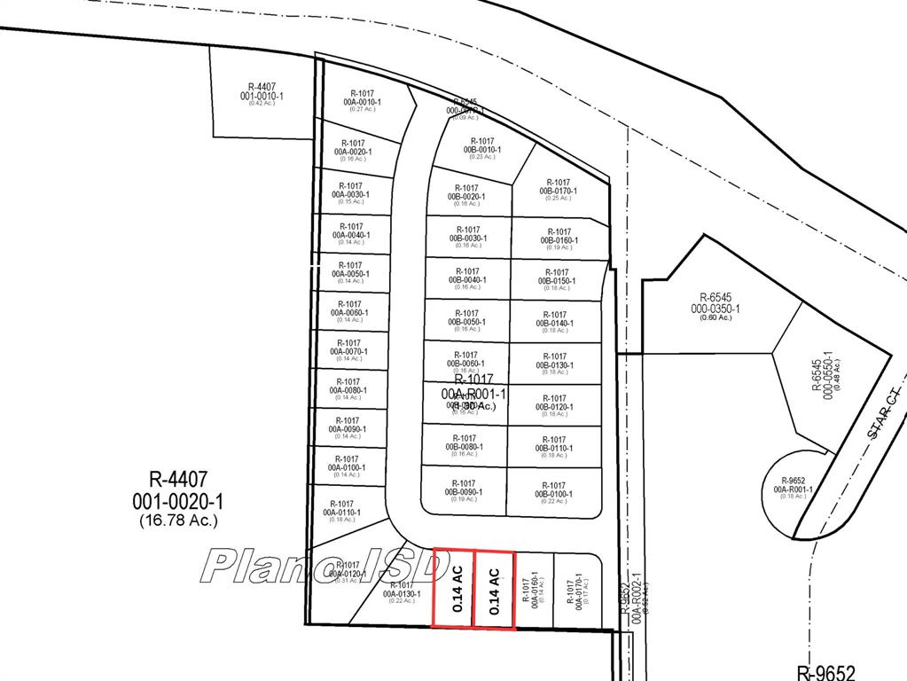
Discover an outstanding opportunity to build your dream home on this expansive 12,088 sq ft multi-parcel single-family residential lot in the heart of Plano, TX. Located in a highly sought-after neighborhood, this generous property gives you plenty of room for a custom-built residence and substantial outdoor living space. The lot is comprised of two separate parcels, and the owner is open to selling either one individually or both together — adding flexibility for buyers. With convenient access to major highways, nearby shopping and dining centers, and top-rated Plano ISD schools, this location offers strong appeal whether you plan to build, develop, or invest. Don’t miss your chance to own a valuable piece of real estate in a thriving and growing community.
| 5 months ago | Listing updated with changes from the MLS® | |
| 5 months ago | Listing first seen on site |
© 2020 North Texas Real Estate Information Systems. All rights reserved. Information is deemed reliable but is not guaranteed accurate by the MLS or NTREIS. The information being provided is for the consumer's personal, non-commercial use, and may not be reproduced, redistributed, or used for any purpose other than to identify prospective properties consumers may be interested in purchasing.
Last checked: 2026-05-24 03:34 PM CDT

Did you know? You can invite friends and family to your search. They can join your search, rate and discuss listings with you.